family CERAMBYCIDAE Latreille, 1802
subfamily CERAMBYCINAE Latreille, 1802
tribe Purpuricenini J. Thomson, 1861
genus Purpuricenus Dejean, 1821
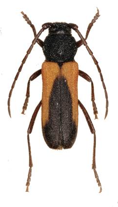
Purpuricenus kaehleri (Linnaeus, 1758)
Purpuricenus kaehleri kaehleri (Linnaeus, 1758)

















Purpuricenus kaehleri boryi Brullé, 1832

Domnívám se, že podobné formy ze Sicilie byly popsány jako další subspecie od Purpuricenus kaehleri.
Velikost 8-22 mm.
Bionomie. Listnaté lesy s převahou dubu, lesostepi, staré ovocné sady. Bionomie tohoto druhu se dá zhruba rozlišit do dvou různých typů - vývoj v živém a v odumřelém dřevě. Vývoj v živém dřevě jsem zjistil např. v Řecku pod Olympem. Nalezl jsem zde menší strom Acer campestris částečně s odumírajícími větvemi se zavadlým zeleným listím, nebo již zcela odumřelými slabými větvemi. Nalezl jsem larvy a kukly Purpuricenus kaehleri. Zde se jednalo jednoznačně o primární škody působené tímto druhem. Silnější žír larev přerušil vodivé cesty pod kůrou Acer. Síla větví byla 2-3 ev.4 cm. Tento způsob vývoje také více odpovídá údajům v literatuře. Čerepanov (1982) uvádí vývoj jak v usychajících, tak i v rostoucích dřevinách. Většinou jsem ale zjistil zcela opačný způsob vývoje v odumřelém dřevě. U Zbečna jsem nalezl požerek s larvou pod kůrou stojícího uhynulého kmene dubu silného cca 30-40 cm. Z larvy se mi podařilo doma dochovat krásné imago samice P. kaehleri. Společně s touto větší larvou bylo i více menších larev Clytus tropicus. Za obdobných podmínek jsem nalézal imaga P. kaehleri též v jižní Francii pod kůrou již dávno odumřelých doubků (i stojícího zlomu) o průměru cca 10 cm. V severním Řecku v okolí Greveny jsem zjistil vývoj tohoto druhu v poražených Quercus. Dubové větve i slabší kmínky o průměru 2 až 10 ev. 15 cm byly pod kůrou a částečně i ve dřevě zcela rozežrané. Podobný způsob vývoje jsem nalezl na Slovensku v okolí Zemplína na stromech Cydonia oblonga vyvrácených buldozerem. Nedokončené požerky byly pod kůrou. Všude jsem zjistil pouze dvouletý vývoj. - Imaga se vyskytují od konce V. do VII. na různých květech, zejména Apiaceae, Rubus, na jihu Evropy Spartium, a na stromech.
Rozdílnost bionomie tohoto druhu pro mne zůstává záhadou, je tak odlišná, že připomíná dva zcela různé druhy. Nejedná se ale v rodu Purpuricenus o nic mimořádného. Podobně dvojí zcela odlišný způsob vývoje jsem zjistil u jižních druhů Purpuricenus barbarus Lucas, 1949 (Alžír a Maroko) a Purpuricenus desfontainei (Fabricius, 1792) (Řecko a Tunis). Šlo též o vývoj v živém dřevě slabých větviček a na druhé straně ve zcela suchém, již dlouho odumřelém dřevě silnějších průměrů, vždy však jiných druhů dřevin.
Živné rostliny - Quercus, Cydonia, Acer campestris; v literatuře se udává ještě Prunus, Robinia, Castanea, Ulmus, Paliurus spina-christi, Fagus, Pyrus, Salix, Populus.
Variabilita. Ve střední Evropě málo variabilní druh. Velmi variabilní je v jižní Evropě, dosti odlišně bývají imaga zbarvena např. v západní Evropě než na Balkánu. Krovky jsou obvykle červené s černou skvrnou při švu umístěnou spíše v zadní polovině. Někdy mohou být celé červené, nebo s různě velkou černou skvrnou až téměř černé. Štít je celý černý, nebo s červenými skvrnami.
Purpuricenus globulicollis Dejean, 1839
Purpuricenus globulicollis globulicollis Dejean, 1839

Purpuricenus globulicollis skypetarum Rapuzzi & Sama, 2013








Velikost 9-19 mm.
Bionomie. Velmi vzácný jižní druh dosahující ve střední Evropě severní hranice. Nálezy imag jsou převážně starého data. Vývoj údajně dvouletý v slabých živých dubech (Quercus). Dospělci v VI-VII.
Štít je buď celý černý, nebo na boku červeně zbarvený až skoro celý červený.
Živné dřeviny – Quercus.
Ve střední Evropě málo variabilní druh, ale na jihu mohou mít imaga krovky až zcela červené, nebo téměř černé, štít celý černý, nebo s různými červenými skvrnami.
Variabilita. Různý tvar má často středová černá skvrna na krovkách. Štít je buď celý černý, nebo s červenými skvrnami na boku, až může být téměř celý červený.
Purpuricenus apiceniger Pic, 1914
|
CRO |
JUG |
MONTE NEGRO |
JUG |
|
|
|
|
|
|
|
Purpuricenus budensis (Götz, 1783)
|
SK |
SK |
GR |
GR |
|
|
|
|
|
|
GR |
SK |
GR |
GR |
GR |
|
|
|
|
|
|
Velikost 10-21 mm.
Bionomie. Okraje dubových lesních a lesostepních porostů, pastevní lesy, zahrady. Vychoval jsem několik imag z dolní části kmínku čerstvě uhynulého (dosud se zvadlými listy) mladého Quercus o průměru 3-4 cm, vysokého cca 150 cm (Novi Dojran). Larvy prožíraly nepravidelně dřevo od kůry až po středovou část. Vývoj v domácích podmínkách byl tříletý. *Vávra vychoval 1 ex. ze suchého výmladku Corylus avellana, larvální chodba byla ve středové části. - Imaga se na Slovensku vyskytují od poloviny VI. do poloviny VIII. V jižní Evropě již od konce V. Denní druh, za slunečného počasí imaga nalétávají na různé květy např. Rubus, Apiaceae, Carduus, v jižních zemích také Centaurea, Onopordum, Allium cepa, Spartiumamnohé další.
Živné rostliny - Quercus sp. (hladkokorý druh); Corylus avellana (*Vávra), Prunus (Švácha, 1987), Pistacia Lentiscus (Richoux, Allemand, Pupier, Delaunay, 1986).
Variabilita. Málo variabilní je černá skvrna na krovkách. Velmi variabilní je plocha štítu, černá, s červenými nebo černými skvrnami, až téměř celá červená.
Purpuricenus renyvonae Sláma, 2001




Purpuricenus graecus Sláma, 1993


Purpuricenus ferrugineus Fairmaire, 1851



Purpuricenus desfontainii Fabricius, 1792
|
GRK |
GR |
TUN |
GRK |
GRK |
GR |
|
|
|
|
|
|
|
Purpuricenus schurmanni Sláma, 1985


Purpuricenus dalmatinus Sturm, 1843









Purpuricenus nicocles Schaufuss, 1871
Obr. 2 a 3 lgt. a foto L. Skořepa
Purpuricenus wachanrui Levrat, 1858






Purpuricenus barbarus P. H. Lucas, 1842




Purpuricenus neocaucasicus Rapuzzi & Sama, 2013 - ( Purpuricenus caucasicus T. Pic, 1902)


Purpuricenus interscapilatus Plavilsthikov, 1937
Purpuricenus interscapilatus interscapilatus Plavilsthikov, 1937
|
TUR |
|
|
Purpuricenus interscapilatus nudicollis Demelt, 1968

TUR CYPRUS CYPRUS
Prvý kus jsem dostal od Demelta, další kusy jsou z Kypru. Jsem toho názoru, že jsou dosti odlišné nejen tvarem těla i velikostí. Zřejmě jde o další, na Kypru endemickou subspecii.
Purpuricenus interscapilatus cornifrons Sabbadini & Pessarini, 1992

Purpuricenus interscapilatus tauricus Sama & Rapuzi, 2013
|
|
Purpuricenus konradi Bernhauer, 1976


Purpuricenus kaehleri (Linnaeus, 1758)

Purpuricenus budensis Götz, 1783 Macedonia Quercus


Purpuricenus schurmanni Sláma, 1985 GRK Acer creticus






Purpuricenus ferrugineus Fairmaire, 1851 PORT Rhus ??



Purpuricenus nicocles Schaufuss, 1871 Cyprus (coll. & foto L.Skořepa)


Purpuricenus barbarus P. H. Lucas, 1842
MAROKO keř sp.


V Maroku jsem tento druh našel v mě neznámém druhu keře a vypěstoval více kusů. Větve keře byly zcela živé, zelené, neodumírající. Z Alžíru jsem si dovezl napadené dřevo z více let zcela suchého kmene meruňky (cca 8-10 cm), z kterého mi vylezla tři imaga. Zjistil jsem tak zcela odlišné podmínky pro vývoj stejného druhu, něco podobného, jako jsem zjistil u Purpuricenus kaehleri.